El huracán Melissa tocó tierra en Cuba como categoría 3 tras devastar Jamaica
 
						 
			En una madrugada que quedará grabada en la historia meteorológica del Caribe, el huracán Melissa tocó tierra en Cuba con categoría 3, desatando una fuerza destructiva que mantiene en alerta máxima a millones de personas.
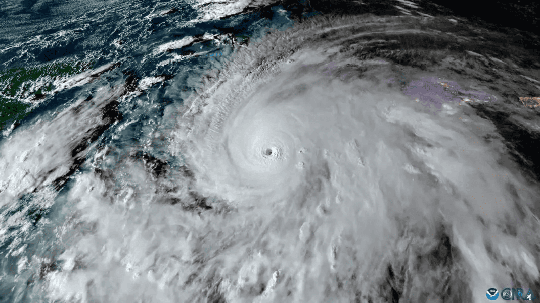
Según el Centro Nacional de Huracanes (NHC), los vientos sostenidos alcanzaron los 193 km/h al tocar tierra en la provincia de Santiago de Cuba, con lluvias torrenciales que podrían acumular hasta 63 cm en algunas zonas.
El fenómeno llega después de arrasar Jamaica, que fue declarada “zona catastrófica” por su primer ministro, Andrew Holness, tras sufrir el paso del ciclón como categoría 5.
Preparativos y respuesta ante el huracán Melissa
El gobierno cubano declaró la alerta máxima en las provincias de Granma, Santiago de Cuba, Guantánamo, Holguín y Las Tunas. Más de 700.000 personas fueron evacuadas hacia refugios seguros, mientras brigadas de rescate se desplegaron por toda la región oriental.
El presidente Miguel Díaz-Canel exhortó a la población a seguir las recomendaciones oficiales:
“Aprovechemos las horas que nos quedan para estar en zonas seguras y proteger la vida”.
A pesar de que el huracán Melissa perdió fuerza tras abandonar Jamaica, su estructura seguía siendo extremadamente peligrosa, con potencial para causar marejadas ciclónicas de hasta ocho metros y precipitaciones récord.

Impacto del huracán Melissa en Cuba
Los primeros reportes confirman severas inundaciones costeras, caída de árboles y daños estructurales en viviendas e infraestructuras eléctricas. En Santiago de Cuba y Chivirico, se registran cortes de energía y carreteras intransitables.
El Instituto Meteorológico de Cuba (Insmet) advirtió que el huracán Melissa podría dejar hasta 450 litros de agua por metro cuadrado, generando un riesgo extremo de deslizamientos y colapso de presas.
El huracán Melissa tocó tierra en Cuba con furia histórica
Expertos del NHC calificaron este evento como “uno de los más intensos desde 2017”. Aunque degradado a categoría 3, el huracán Melissa tocó tierra en Cuba con una energía devastadora, que continúa desplazándose hacia el norte de la isla, afectando zonas urbanas y rurales por igual.
Meteorólogos internacionales advierten que el fenómeno podría dejar consecuencias prolongadas, especialmente en el sector agrícola y en la red eléctrica nacional.
La devastación previa en Jamaica
Antes de alcanzar Cuba, Melissa arrasó Jamaica, dejando un rastro de destrucción en al menos seis hospitales, decenas de carreteras y miles de viviendas. El primer ministro Holness informó que “la magnitud real del desastre se conocerá en los próximos días”, mientras equipos de emergencia trabajan sin descanso en Montego Bay y Kingston.
La Organización Meteorológica Mundial (OMM) afirmó que Melissa es “la tormenta del siglo” para Jamaica, superando incluso al huracán Gilbert de 1988.

Comparativa con huracanes anteriores
Según el meteorólogo británico Simon King, la intensidad de Melissa rivaliza con huracanes históricos del Caribe, como Irma (2017) y Matthew (2016). La interacción del sistema con las cálidas aguas del Caribe occidental generó una rápida intensificación poco antes de llegar a tierra.
Pronóstico tras el paso del huracán
Se espera que Melissa continúe debilitándose gradualmente mientras se desplaza hacia el Atlántico, aunque persistirán fuertes lluvias y tormentas eléctricas en el oriente cubano durante las próximas 48 horas.
Los expertos advierten que los efectos secundarios —como deslizamientos, brotes de enfermedades y crisis de abastecimiento— podrían extenderse por semanas.
Solidaridad internacional y llamados de ayuda
El papa León XIV expresó su solidaridad con las comunidades afectadas, pidiendo “hacer todo lo posible para atender a los damnificados”. Organizaciones humanitarias internacionales ya han comenzado a coordinar envíos de alimentos, medicamentos y equipos de rescate.
Mientras tanto, los cubanos enfrentan con entereza una de las pruebas climáticas más difíciles de los últimos años.
 
		 
		
 
  