El huracán Melissa deja al menos 32 muertos y una estela de destrucción en el Caribe
El huracán Melissa ha dejado al menos 32 personas fallecidas a su paso por el Caribe, además de un rastro de devastación que afecta a varios países de la región. Haití concentra la mayor parte de las víctimas, con 23 muertes confirmadas, seguido de Jamaica y Panamá, con cuatro fallecidos cada uno, y uno en República Dominicana.
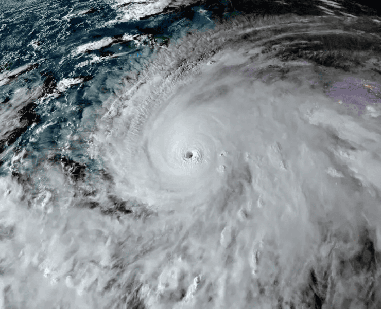
Aunque el fenómeno se ha debilitado tras alcanzar categoría 5 —la máxima en la escala Saffir-Simpson— durante su impacto en Jamaica y categoría 3 al tocar Cuba, las autoridades advierten que continúa representando un peligro. El Centro Nacional de Huracanes (NHC) de Estados Unidos prevé que Melissa pase esta noche por las Bahamas, con condiciones de huracán, marejada ciclónica potencialmente mortal y fuertes precipitaciones, además de provocar tormentas tropicales en las Islas Turcas y Caicos.
Haití, el país más golpeado
Haití, uno de los países más vulnerables de la región ante los desastres naturales, ha sufrido el mayor número de víctimas. Las autoridades reportan 23 fallecidos, 17 heridos y 13 desaparecidos, mientras las lluvias torrenciales persisten en varias regiones.
En el oeste del país, el desbordamiento del río La Digue causó graves inundaciones en la ciudad de Petit-Goâve, donde murieron al menos 20 personas, entre ellas diez niños. Los equipos de rescate continúan las labores de búsqueda en la zona.
Además, más de 13.800 personas han sido desplazadas y una docena de ríos permanecen crecidos, afectando carreteras, viviendas, escuelas e iglesias. “Un árbol cayó sobre mí”, relató a la agencia EFE Willyo Bontang, de 64 años, quien sufrió una fractura en el pie y permanece hospitalizado en Petit-Goâve.
Cabe recordar que, cuando aún era tormenta tropical, Melissa ya había provocado tres muertes adicionales en Haití la semana pasada.

Jamaica y Panamá también sufren los estragos
En Jamaica, el paso del huracán dejó cuatro fallecidos y más de 500.000 personas sin electricidad, además de numerosas comunidades incomunicadas por la caída de redes telefónicas y la inundación de amplias zonas.
En Panamá, las autoridades confirmaron también cuatro víctimas mortales, principalmente por deslizamientos de tierra y crecidas repentinas de ríos.
Cuba, último país en recibir el impacto
Cuba fue golpeada este miércoles por Melissa, ya degradado a categoría 3, que provocó inundaciones, cortes eléctricos masivos y daños materiales significativos en la región oriental.
Aunque la Defensa Civil no ha reportado hasta el momento víctimas mortales ni desaparecidos, las autoridades reconocen que los rescatistas aún no han podido acceder a numerosas zonas rurales y montañosas afectadas por los desbordamientos de ríos y los corrimientos de tierra.
El presidente Miguel Díaz-Canel describió la situación como una “madrugada muy compleja”, y señaló que los daños son cuantiosos, aunque todavía no se dispone de un balance oficial.
Huracán Melissa sigue su rumbo
Mientras el huracán se desplaza hacia el norte del Caribe, las autoridades mantienen alertas por marejadas peligrosas, lluvias intensas y posibles inundaciones repentinas. Los servicios meteorológicos insisten en que, aunque Melissa se ha debilitado, sus efectos continúan siendo potencialmente devastadores para las islas que encontrará en su trayecto.
